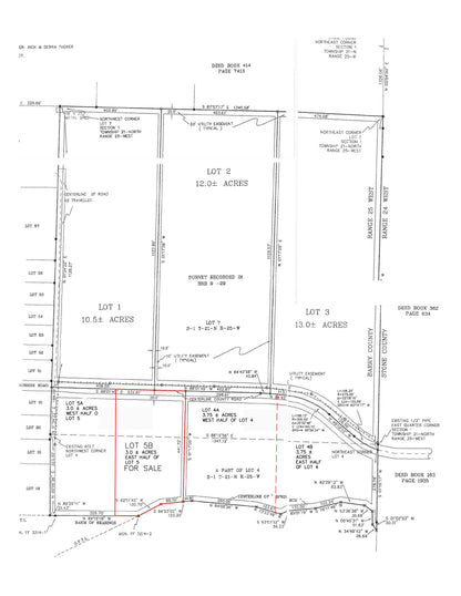
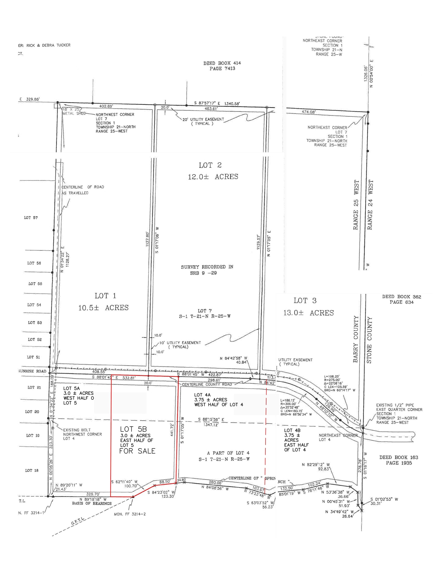
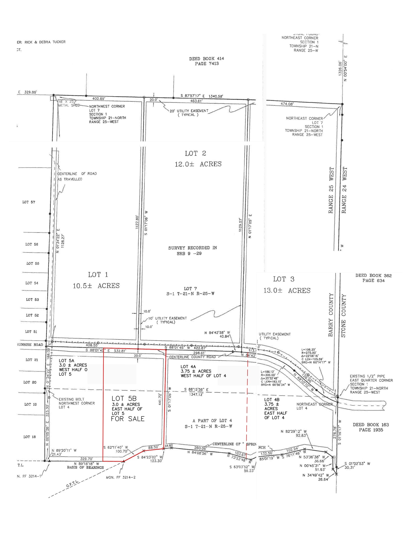
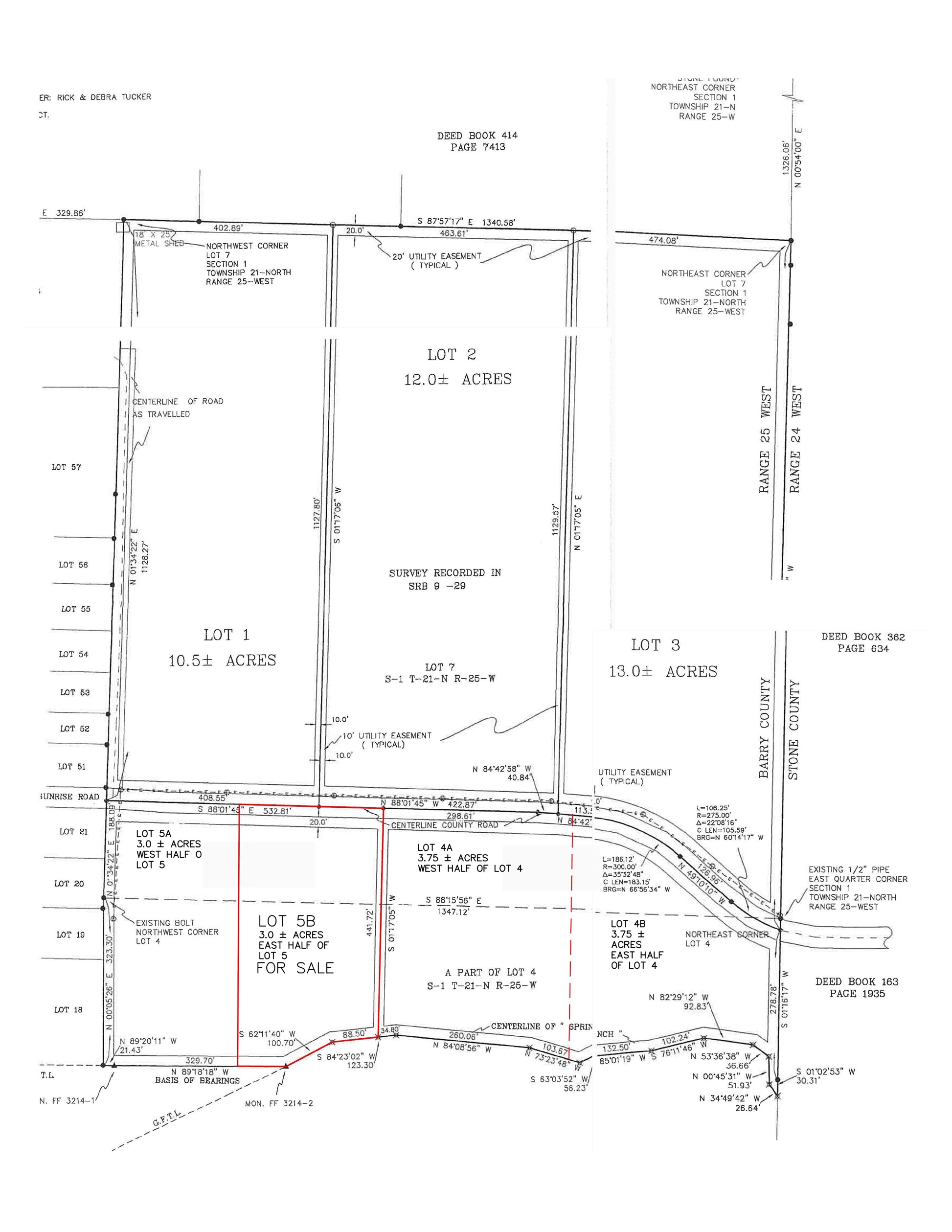
3.0 Acres – Wispy Trail Ln, Viola, MO






















|
Parcel #
30-1.0-01-000-000-0023.000 |
30-1.0-01-000-000-0023.000 |
|
Access
Wispy Trail |
Wispy Trail |
FAQ’s
Let us help you find your perfect property.
-
Take a look at our property listings that are available for sale. Then choose whether you would like to buy the property outright or access our convenient financing terms. (Everyone is approved for financing.) Then simply pay the document fee via PayPal or debit/credit card to reserve the property. We will then contact you through email with a purchase agreement to sign via DocHub (electronic signing service). You can then complete the payment with a check, ACH deposit, or through a title agency (for an added fee), and we will deed the property into your name. Then, you are on your way!
-
No, we are NOT Realtors, but rather land investors. Real estate agents sell land for others as middlemen, increasing the price in order to earn a commission. We diligently search the market and buy properties that we believe are good investments. We then offer some of these properties directly to the public. Our properties are available at discounted prices because you are buying directly from the property owners – us.
-
Our company is registered in the State of Wyoming. You are welcome to look us up on the Wyoming Secretary of State business page. We also will gladly provide a copy of the Warranty Deed for each of our properties, registered in our company name – Bana Properites LLC. You can also look this information up for any property you are interested in purchasing through the county website.
-
Since we buy property all over the USA, we cannot meet you to “show” you the property. However, this is vacant land and not a house that needs to be “unlocked.” We encourage you to drive out and visit the property you are interested in buying using the address and google maps coordinates we provide.
-
Property taxes billed (yearly) after the purchase of the property are the new buyer’s responsibility. If you are buying the property on terms, we will contact you directly with this bill each year. We carefully select properties with low tax bills that won’t add a large burden to the new owner.
-
Generally speaking, you need to pay the property off before building. In some cases, with written permission from us, you may be able to make improvements, as long as you follow and comply with all local building codes and permits.